今天我們早起在民宿吃早餐
民宿老闆娘 Jessica 已連續三天
載我們到較遠的 Niederwangen車站搭 07:22分出發的火車
9:10分 Cully居利站
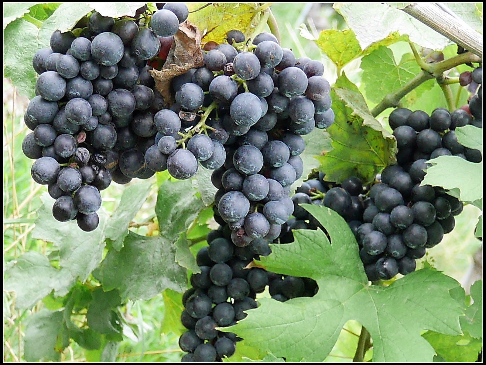
經過墓園往上走
走到葡萄酒莊後開始下坡往 Epesses 車站走
從 Cully居利車站爬到酒莊,再下到 Epesses 埃佩斯車站候車室午餐
總共約 2 個小時,
Vevey沃韋火車站
站前小吃店
Vevey沃韋遊客中心
拿地圖
遊客中心
以前是糧倉,大廳由十八根義大利大理石圓柱所構成
古堡、博物館
遊船碼頭
往湖右邊走想找雀巢公司總部,
不過走了一大段卻只看到雀巢冰品攤位,總部??算了不找了
作家雕像後面是食品博物館
喜劇泰斗卓別林
雕像後面是食品博物館,前方是湖中大叉子
Vevey沃韋 往 Veytaux-Chillon 西庸
> 瑞士國鐵鐘 <
70幾年來瑞士境內所有火車站皆設有瑞士國鐵鐘
Veytaux-Chillon 西庸站
過車站地道往湖邊城堡步道
> 西傭城堡 <
垛口
互通塔樓的迴廊
起居室陳設
內外都氣派的古城堡,我們走馬看花就逛了兩小時
如果再仔細點看可能要超過三個小時
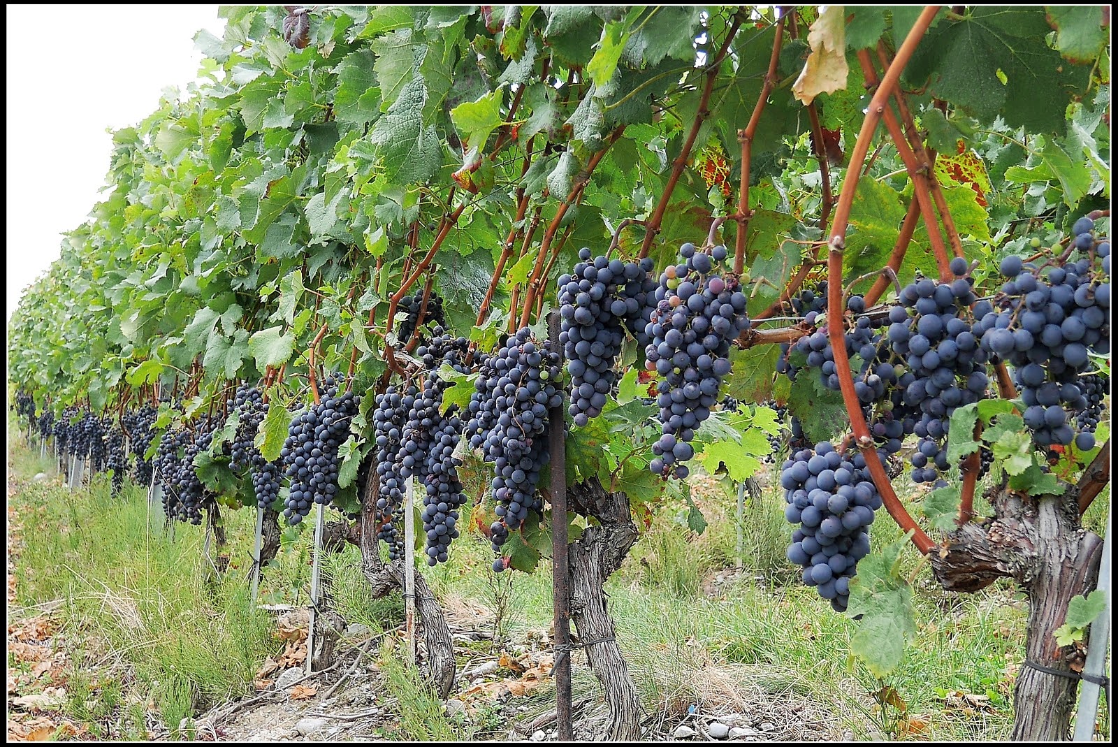
趁著好天氣再度搭車回Cully居利葡萄園
Cully居利車站 17:13 火車回 Berm
Lausanne洛桑車站轉車空檔逛超市
買晚餐的菜
超市香菸區,一包都要台幣兩三百塊
伯恩車站 D區月台
月台很長 A、B。C 在地下,當地人比較會利用 D區出站
電煮鍋晚餐
文章標籤
全站熱搜
